El Gobierno de México, a través de la Coordinación Nacional de Protección Civil (CNPC) de la Secretaría de Seguridad y Protección Ciudadana (SSPC), en coordinación con las Secretarías de la Defensa Nacional (Defensa), Marina (Semar) y el Gobierno del estado de Guerrero, informa que, ante las condiciones actuales del huracán Erick, que se mantiene como categoría 2 en la escala Saffir-Simpson, se ha determinado elevar el alertamiento del Sistema de Alerta Temprana para Ciclones Tropicales (SIAT-CT) de color amarillo (peligro moderado) a color naranja (peligro alto).
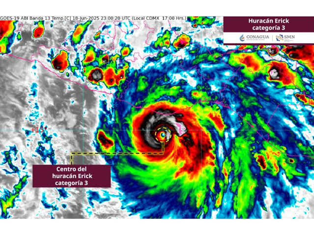
Esto debido a que el pronóstico más reciente, señala que Erick podría intensificarse a categoría 3 en las próximas horas, alcanzando dicha fuerza a las 06:00 h del jueves 19 de junio, y se prevé que toque tierra entre Oaxaca y Guerrero durante el transcurso del mismo día.
En conferencia de prensa, la coordinadora nacional de Protección Civil, Laura Velázquez Alzúa, detalló que, de acuerdo con el Servicio Meteorológico Nacional (SMN), a las 12:00 horas el huracán Erick se localizaba a 165 km al sur de Puerto Ángel, Oaxaca, y a 345 km al sureste de Punta Maldonado, Guerrero, con vientos máximos sostenidos de 155 km/h y desplazamiento hacia el noroeste a 15 km/h.

Asimismo, las autoridades de los tres órdenes de gobierno han comenzado la implementación de acciones preventivas y operativas, tales como:
- Activación de los Consejos Estatales y Municipales de Protección Civil.
- Despliegue de elementos de Defensa, Semar, Guardia Nacional y Protección Civil.
- Habilitación de refugios temporales en zonas de riesgo.
- Revisión y reforzamiento de sistemas de comunicación de emergencia.
- Campañas de información a la población a través de medios oficiales y redes sociales.
Por ello, explicó Velázquez Alzúa, el cambio de alertamiento a color naranja (peligro alto) implica emitir boletines de alertamiento con una frecuencia de por lo menos cada tres horas. Además, las autoridades de los tres niveles de gobierno implementarán las siguientes acciones:
- Notificación a los integrantes del SINAPROC sobre las condiciones que guarda el evento ciclónico y los niveles de riesgo en los ámbitos federal, estatal y municipal.
- Suspensión de la movilidad de manera total, exceptuando a las autoridades y cuerpos de emergencia.
- Instalación de los Consejos Estatales y Municipales de Protección Civil.
- Instalación en sesión permanente de los centros de coordinación y comunicación (Puestos de Mando) en los ámbitos estatal y municipal.
- Activación de refugios temporales.
- Evacuación de las zonas de riesgo.
- Despliegue táctico del personal y recursos materiales de las instancias participantes de los ámbitos federal, estatal y municipal.
- Inicio de acciones de las instancias encargadas de la seguridad pública.
- Reforzamiento del alertamiento por conducto de los medios de comunicación masiva sobre el fenómeno específico y el inminente impacto.
- Resguardo de los recursos materiales que serán utilizados para la rehabilitación de los sistemas afectados.
- Ejecución de programas para garantizar el abasto de agua potable, alimentos, combustibles y energía eléctrica.
- Suspensión de actividades escolares en zonas de riesgo.
La titular de la CNPC indicó que el detalle de las regiones y los municipios que presentarán efectos por el paso del meteoro se actualizará a cada 3 horas, de acuerdo con el SMN, y puede ser consultado en la página de www.preparados.gob.mx
La gobernadora del estado de Guerrero, Evelyn Salgado Pineda, hizo un llamado a la población para permanecer en sus hogares y, en caso de habitar en zonas de riesgo, trasladarse de inmediato a los refugios temporales habilitados, pues “lo más importante es salvaguardar la vida”.
Informó que en la entidad se cuenta con 582 refugios temporales, con capacidad para brindar atención a más de 30 mil familias.
Asimismo, señaló que el Consejo Estatal de Protección Civil se mantiene en sesión permanente y, como medida preventiva, fueron suspendidas las actividades académicas y las labores del sector público los días 18 y 19 de junio.
La mandataria estatal destacó que se ha desplegado una presencia permanente de las fuerzas de seguridad en comercios y estaciones de servicio, mientras que la Guardia Nacional realiza operativos de acompañamiento a vehículos de abasto, para garantizar el suministro de productos esenciales.
Adicionalmente, indicó, se cuenta con una red de más de mil 200 voluntarios capacitados para brindar apoyo en campo, así como un protocolo especial de atención y evacuación para turistas.
